Las condiciones que ha mostrado el huracán Iota en las últimas horas y su rápido fortalecimiento ya lo llevaron a categoría 5, según informó tanto la Dirección General Marítima (Dimar), como el Instituto de Hidrología, Meteorología y Estudios Ambientales (Ideam). En menos de doce horas pasó de categoría 2 a categoría 5, intensificando sus afectaciones en el Mar Caribe colombiano y en el Archipiélago de San Andrés y Providencia, especialmente.
De acuerdo con los reportes de las entidades oficiales, Iota continúa afectando las Islas Providencia y Santa Catalina y Banco Quitasueño, con vientos huracanados y una marejada ciclónica de hasta 6 metros, generada por el fenómeno.
Le recomendamos: El huracán Iota alcanzó categoría 4 y se acerca peligrosamente a Providencia
La Dimar informó que si bien las islas Serrana, Serranilla y Roncador si bien se encuentran alejadas del ojo del huracán están siendo afectadas fuertemente por las bandas del sistema. La entidad reiteró afectaciones en todo el Archipiélago de San Andrés, incluyendo las Islas Cayos del Norte.

Por su parte, el Ideam indicó que se presentan vientos considerablemente fuertes, acompañados de lluvias torrenciales, condiciones que se mantendrán en la próximas horas con tormentas eléctricas y oleaje por encima de lo normal en el Archipiélago.
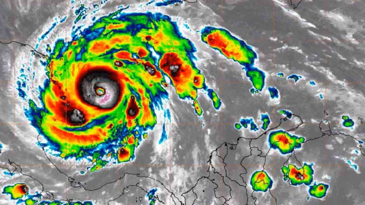
#EnEsteMomento | Se mantienen las condiciones lluviosas y de vientos en el Archipiélago de #SanAndrés tras el paso del #HuracánIota que subió a categoría 5, manteniendo vientos sostenidos de 259 km/h. Aviso de vientos huracanados para #Providencia. pic.twitter.com/tVwSZKwL56
— UNGRD🇨🇴 (@UNGRD) November 16, 2020
Según la Dimar, por la intensidad del fenómeno se recomienda extremar las medidas de prevención en materia de navegación y el desarrollo de actividades marítimas sobre las áreas de incidencia del sistema ciclónico.
De acuerdo con el último reporte del Ideam, en Providencia las autoridades tienen aviso de vientos huracanados con intensidades mayores a 178 kilómetros por hora y en San Andrés persiste una vigilancia por huracán con vientos de tormenta tropical entre 63 y 117 kilómetros por horay se advierte un oleaje con alturas de hasta 4 metros.
Le sugerimos: Ordenan cierre del aeropuerto de Providencia ante paso del huracán Iota
¿Qué significa que Iota haya alcanzado esa categoría?
La categoría 5 es la máxima en huracanes. Iota podría convertirse en el ciclón tropical más fuerte de toda la temporada 2020, según explica Christian Euscátegui, metereólogo de Videoclimet y director de la Maestría en Gestión del Riesgo de la Escuela de Ingenieros Militares.
"Estando cerca del final oficial de dicha temporada, que culminará el 30 de noviembre, fecha que se ha preestablecido a partir de todos los registros históricos de ciclones tropicales, las aguas cálidas del mar Caribe han permitido una rápida evolución de Iota y nos muestra una condición de amenaza en áreas marítimas colombianas lo cual podría perdurar por lo menos para las siguientes dos o tres semanas, todas las condiciones océano-atmosféricas en dicha zona del Atlántico", explica el experto.
Ha ocurrido... El potente huracán #Iota es ya categoría 5, la máxima categoría con rumbo a Centroamérica y afectará sobre todo a Nicaragua y Honduras, dos países muy tocados ya por el pasado huracán #Eta
— Mar Gómez (@MarGomezH) November 16, 2020
Muy malas noticias. Se espera lo peor en la zona. Mucha fuerza. pic.twitter.com/LMaQZFXlGP
Dadas las condiciones de mayor categoría del huracán, los vientos continuarán siendo muy fuertes y el tiempo muy lluvioso con probabilidad de tormentas eléctricas. "En términos de los impactos, esas velocidades de vientos normalmente ocasionan caída de los árboles y el desplome de diversas infraestructuras que puedan presentar algún tipo de inestabilidad. Adicionalmente anegamientos significativos con consecuencias nefastas para la población", dice Euscátegui.
En términos de tiempo adverso por San Andrés y Providencia se espera que impacte de forma directa por lo menos hasta el medio día de este lunes en términos de vientos fuertes y marejada ciclónica, sin embargo, el tiempo lluvioso puede mantenerse por varios días debido a las bandas de nubosidad que podrían dilatar esa condición de lluvias en el Archipiélago.
Habían visto la probabilidad a 5 días de formación de ciclón tropical? @NHC_Atlantic
— Christian Euscátegui (@ChristianEuska) November 16, 2020
Por ahora poco claro. Pero es una probabilidad que habrá que tener en cuenta...
Por ahora, todos los 👀 en #IOTAstrong pic.twitter.com/8VluuAFx4I
El experto asegura que no se descarta que en las próximas semanas se presenten nuevas ondas tropicales en el Atlántico, pues las condiciones climáticas y atmosféricas están dadas para que esto suceda.
