El huracán Melissa se ha convertido en uno de los más poderosos registrados en los últimos años alcanzando la categoría 5, un fenómeno que no ha sido desapercibido por las cámaras espaciales.
Las imágenes satelitales captadas han dejado ver con claridad la impresionante rotación y el enorme tamaño de su estructura, mientras avanza sobre el Caribe con fuerza devastadora.
Los informes señalan ráfagas superiores a los 257 km/h, el sistema continúa desplazándose hacia el norte del mar Caribe, generando preocupación por lluvias torrenciales, oleaje peligroso y riesgo de deslizamientos de tierra en varias islas de la región.
Organismos internacionales han advertido que su trayectoria podría afectar territorios como Cuba y Bahamas en las próximas horas.
Un ciclón histórico captado desde el espacio
El Centro Nacional de Huracanes de Estados Unidos confirmó que Melissa alcanzó su punto máximo durante la madrugada, consolidándose como un huracán de categoría 5, el nivel más alto en la escala de ciclones.
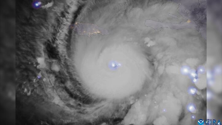
Las últimas imágenes capturadas por satélites meteorológicos como GOES permiten observar con nitidez la formación del ojo del huracán, rodeado de bandas nubosas que giran con enorme intensidad.

Instituciones científicas de Estados Unidos compartieron secuencias donde se aprecia cómo la luz del sol se desvanece mientras Melissa avanza sobre el Caribe, dejando al descubierto relámpagos alrededor de su núcleo, además estas descargas eléctricas presentan la inestabilidad atmosférica y la energía que contiene el sistema.

Las fotografías satelitales también señalaron la evolución del fenómeno en sus primeras etapas cuando se formaba sobre aguas cálidas, hasta el momento en que alcanzó su punto de máxima intensidad. La forma perfectamente simétrica del ojo es una característica típica de los huracanes más peligrosos.


Avance hacia nuevas zonas pobladas
De acuerdo con los últimos reportes meteorológicos, luego de su paso cerca de Jamaica, donde se reportaron daños en infraestructura pero sin víctimas mortales según CNN, el ciclón se dirige hacia el sureste de Cuba.

También, se prevé que durante la noche podría moverse en dirección a las Bahamas, donde se han activado alertas.

Los expertos advierten que, aunque la intensidad de Melissa podría variar en los próximos días, sus efectos continuarán siendo peligrosos debido a las marejadas ciclónicas y las precipitaciones extremas que podrían causar inundaciones repentinas.
