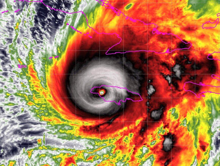
El huracán Melissa, que ya está calificado como categoría 5 con vientos de hasta 285 km/h, está aproximándose a Jamaica, por lo que el Centro Nacional de Huracanes emitió una alerta urgente.
Sus fuertes vientos combinados con intensas precipitaciones podrían causar una devastación similar a la de otros huracanes históricos, como María en 2017 o Katrina de 2005.
From a crewmember on yesterday's Teal 74 mission into now-Category 5 Hurricane #Melissa. As clear of an eye as you will see in the Atlantic basin. pic.twitter.com/5tktvvrIR1
— Jeremy DeHart (@JeremyDeHartWX) October 27, 2025
Las agencias sugieren que el huracán también podría seguir su trayectoria por Cuba, lo que generaría emergencias importantes en la isla.
La Cruz Roja de Jamaica ya empezó a distribuir agua potable y kits de higiene a la población. “Hay algunas zonas en las que ya se están produciendo deslizamientos de tierra”, declaró a la AFP Esther Pinnock, responsable de comunicación de la oenegé.
