El fin del verano en el hemisferio norte ha estado marcado por el surgimiento de potentes tifones a lo largo de los mares de China Meridional y Oriental, en donde, Saola, un supertifón que ha acaparado la atención de varios países del sudeste asiático dado su potencial destructor, impactó a Filipinas y Taiwán a finales de agosto, dejando, por lo menos, a más de 50 mil refugiados en albergues improvisados. Asimismo, esta tormenta tropical mostró su furia en Hong Kong y la provincia de Guangdong, en China, durante los primeros días de septiembre afectando a poblaciones comerciales muy importantes para el gigante asiático.

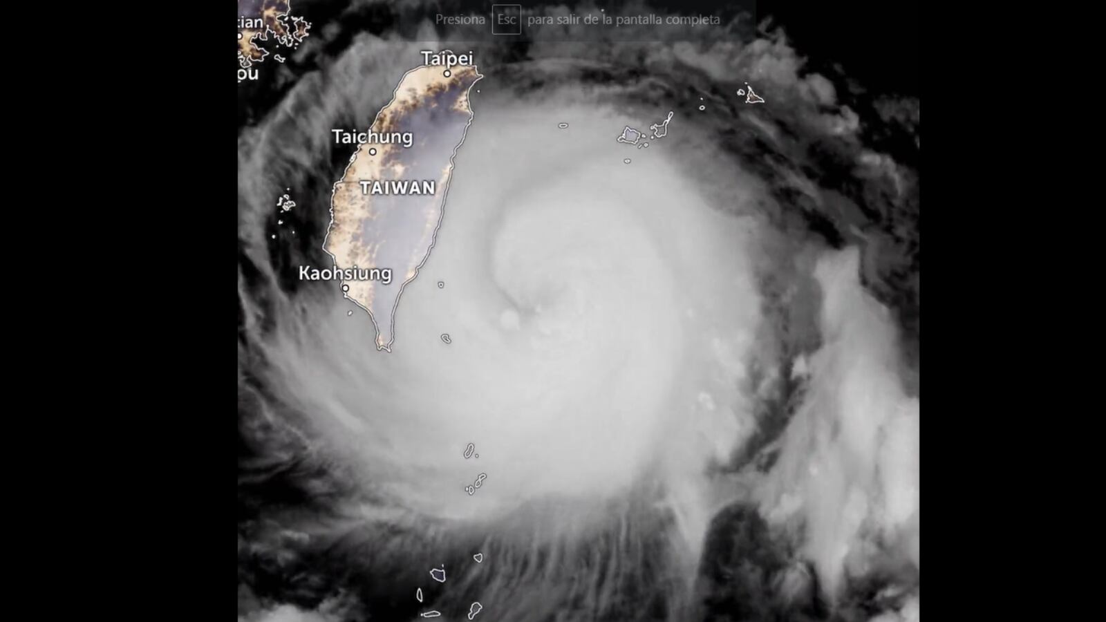
No obstante, un nuevo tifón comenzó a formarse en los últimos días desde el sur de Japón. Haikui, quien en un principio se categorizó como tormenta tropical, comenzó a tomar fuerza en las últimas horas a su llegada a Taiwán durante el fin de semana. A pesar de que los pronósticos indicaban que, el ahora tifón, impactaría fuertemente la zona norte de la isla, donde se encuentra la capital, Taipéi, el fenómeno natural se desvió de su curso chocando con la zonas centro y sur del país, devastadas por Saola días atrás.
El impacto de Haikui en 24 horas
El tifón Haikui ha ocasionado el daño de rutas costeras y el derribamiento de árboles desde su llegada a Taiwán el domingo en la mañana. Asimismo, a pesar de que se creía que el coletazo había terminado, el tifón volvió a tocar tierra en Kaohsiung, al suroeste de la isla.

Aunque no se han reportado fallecidos ni heridos de gravedad, son más de un centenar las personas que han resultado lesionadas por el paso intermitente del tifón, según AFP. De igual manera, los heridos se relacionan con la caída de árboles y los accidentes de tránsito provocados por las fuertes precipitaciones.

“Esta es la primera vez en mi vida que veo un tifón de este tipo”, aseveró al medio citado Chen Hai-feng, un líder comunal de 55 años. Por otro lado, la magnitud de la tragedia es de proporciones colosales debido a que toda la zona costera de Taitung, fue una de las localidades montañosas más afectadas por Haikui, ya que este fue el primer lugar que recibió el impacto del tifón.
🇹🇼 AHORA | Tifón Haikui golpeando la isla de #Taiwan. (Septiembre 03, 2023). #Massive #Typhoon #Climagram #Storm pic.twitter.com/esubTmjFU2
— ⚠️Alerta Climagram🌎 (@deZabedrosky) September 3, 2023
Por otro lado, Haikui es el primer tifón que azota directamente a Taiwán en 4 años, lo que provocó la acción inmediata del gobierno para salvaguardar a las poblaciones más vulnerables del centro y sur de la isla. Según informes extraoficiales, cerca de 3 mil personas fueron evacuadas, presentándose además la cancelación de 200 vuelos y el cierre de colegios y negocios urbanos.

China continental en la mira de Haikui
De acuerdo con los primeros pronósticos oficiales, Haikui debió haber impactado a Shanghái durante la mañana del domingo pasado, no obstante, pese al poder de sus vientos huracanados, la agencia AFP ha relatado que durante su paso por Taiwán, el tifón se ha degradado a tormenta tropical severa y continúa avanzado hacia el sur de China.

Varias localidades del sur de la nación asiática se han visto seriamente afectadas por el paso del supertifón Saola, por lo que las autoridades de emergencia están alerta frente a una nueva ola destructora que se avecina con el impacto de Haikui en las costas chinas.
🇹🇼 | ÚLTIMA HORA: El tifón Haikui tocó tierra en el este de Taiwán, es la primera gran tormenta que azota directamente la isla en cuatro años.
— Alerta Mundial (@AlertaMundial2) September 3, 2023
Unas 3.000 personas fueron evacuadas, con mas de 200 vuelos cancelados, escuelas y negocios cerrados en las partes sur y este de la… pic.twitter.com/83A9AYdvTm
La ciudad de Hong Kong continúa enfrentándose a las secuelas que dejó Saola a su paso, especialmente en el distrito financiero de la metrópolis, debido a las grandes inundaciones y afectaciones en el espacio público, sin contar con los daños que las fuertes ráfagas de viento ocasionaron en uno de los puertos marítimos más importantes a nivel mundial.