NACIÓN
URGENTE: Julia es huracán y tocó San Andrés, confirmó el presidente Gustavo Petro: “Esperemos que no suceda lo mismo que la vez pasada”; hay casas destechadas y palmeras derribadas
El jefe de Estado aseguró que la tormenta tropical ya es huracán y dispuso medidas de precaución ante el fenómeno natural.
Siga las noticias de SEMANA en Google Discover y manténgase informado

El presidente Gustavo Petro confirmó en la tarde de este sábado que la tormenta tropical Julia, ahora huracán, llegó a la isla de San Andrés. “Toda la infraestructura hotelera debe abrir espacio para refugios a población vulnerable”, dijo inicialmente el jefe de Estado. Posteriormente, confirmó que el huracán está sobre la isla y espera que no tenga consecuencias como las soportadas al paso del huracán Iota, que azotó a la isla el 16 de noviembre de 2020 y dejó mucha destrucción a su paso.
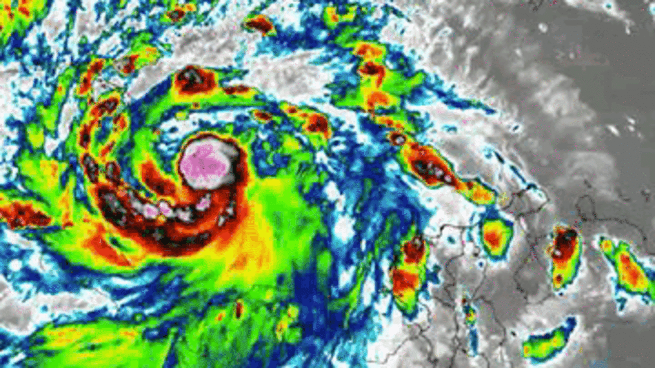
“Confirmamos de acuerdo al último reporte del @NHC_Atlantic la declaración de Julia como huracán de categoría 1 justo en el momento en que pasa por la isla de San Andrés, con vientos sostenidos de 120 Km/h y se desplaza a una velocidad de 28 Km/h. Continúa el estado de alarma”, informó el Ideam al margen de la declaración del jefe de Estado.
“Ese es el reporte que tenemos”, dijo el presidente sobre el ahora huracán y para confirmar la llegada del fenómeno natural. Petro añadió que se prepara para viajar hacia San Andrés tan pronto las condiciones climáticas lo permitan. “Nosotros tenemos el PMU (Puesto de Mando Unificado), que es el instrumento de acción listo y esperemos que la gente haya logrado la mayor cobertura, refugios, que es lo que hemos estado buscando durante todo este día”, agregó el presidente Petro. El jefe de Estado agregó que “mañana ya tendremos de acuerdo al resultado que haya dejado el huracán, una información concreta y las acciones inmediatas para reactivar la isla”.
Aunque todavía no hay un censo oficial establecido, el gobernador de San Andrés, Providencia y Santa Catalina, Everth Hawkins Sjogreen, informó que el paso del huracán Julia ocasionó varias emergencias en algunos sectores del archipiélago.
Por lo anterior, el mandatario departamental anunció que adoptará la declaratoria de calamidad pública para agilizar la consecución de recursos.
“El propósito es intervenir e incorporar los recursos y atender la situación de manera rápida. Para nadie es fácil tener su casa y no tener techo”, puntualizó el mandatario.
En el caso particular de Providencia, Hawkins dio a conocer que se reportaron cuatro casas afectadas. A nivel general, destacó que los turistas en Providencia atendieron el llamado y acudieron a los refugios. En San Andrés, un total de 71 personas utilizaron los albergues.
Huracán Julia en San Andrés alcanzó algunas instalaciones, afectándolas.
— Revista Semana (@RevistaSemana) October 9, 2022
Más información: https://t.co/S07KRVE82x pic.twitter.com/4ISjKKLEz6
La unidad de manejos de desastres anotó que hasta el momento no se han presentado afectaciones en personas. Si bien el huracán se aleja de la isla, las autoridades dijeron que aún se encuentran en alerta por su tránsito.
“Vamos a tener más afectaciones. Sé que hay árboles cayéndose, techos volando por doquier salvaguardemos”, dijo el gobernador.
En la isla el toque de queda se mantiene, hasta nuevo aviso considerando que aún las horas críticas permanecen.
“Solamente las autoridades vamos a salir a evaluar los daños que pueda ocasionar el fenómeno. Estamos recibiendo el coletazo. Se esperan ráfagas mucho más fuerte por lo que solicitamos extremar las medidas. Lo mas importante es seguir las recomendaciones”, anotó el mandatario departamental.
De acuerdo con las autoridades, las afectaciones no fueron tan graves por la dinámica del sistema. “Gracias a Dios el huracán se formó justo encima de la isla, si se hubiese formado antes, por ejemplo 100 kilómetros antes de llegar a San Andrés ,era probable que estuviésemos recibiendo un huracán de categoría dos o tres”, precisó Hawkins, quien aprovechará la visita del presidente Gustavo Petro para solicitar ayuda.
Luego de San Andrés, su recorrido
Centroamérica se preparaba para la llegada de Julia, un ciclón tropical que se desplaza por el Caribe y se espera que se transforme en huracán antes de tocar tierra en la costa de Nicaragua, según el Centro Nacional de Huracanes (CNH) de Estados Unidos.
De acuerdo al Instituto de Hidrología, Meteorología y Estudios Ambientales de Colombia (IDEAM), Julia avanza a una velocidad cercana de 30 km por hora con vientos sostenidos de 93 kilómetros por hora, según la entidad. “Es probable que se presenten vientos sostenidos de 119 km/h o más y se prevén precipitaciones acumuladas fuertes y extremas que podrían superar los 120 mm, tormentas eléctricas, ráfagas de viento y marejada ciclónica en el área del archipiélago”, alertó el IDEAM en un boletín.

El CNH advirtió que las lluvias durante el fin de semana podrían provocar “inundaciones repentinas y deslizamientos de lodo” que amenazan la vida en Centroamérica.
Julia sería el segundo huracán de la temporada 2022 en el Caribe Centroamericano, luego de que en julio Bonnie, de categoría dos, atravesara el sur de Nicaragua hasta salir al Pacífico, dejando al menos tres muertos y cuantiosos daños materiales.
El 16 de noviembre de 2020, el huracán Iota impactó con fuerza en San Andrés y dejó dos muertos, varios heridos y millonarios destrozos. El cambio climático produce un aumento de temperatura en las capas superficiales de los océanos, lo cual genera huracanes y tormentas más poderosos y con mayor cantidad de agua, que constituyen una amenaza más peligrosa para las comunidades costeras, según estudios del Grupo Intergubernamental de Expertos sobre el Cambio Climático (IPCC) de la ONU.

Bluefields apura preparativos
En Bluefields, principal ciudad del Caribe sur de Nicaragua amenazada por la llegada del ciclón, los pescadores pusieron en resguardo sus embarcaciones y la población se apresuraba a comprar víveres y sacar dinero de los cajeros automáticos. “Hay que prepararse con comida, plásticos, de todo un poco, porque no sabemos que irá a pasar”, afirmó a la AFP Javier Duarte, un ebanista que reza para que el ciclón no sea potente y desvíe su ruta de Bluefields, un municipio con endebles estructuras de alrededor de 60.000 habitantes. “Ya hemos tenido algunas experiencias de huracanes en Nicaragua, y estamos propensos a pasar” una situación similar, dijo por su parte Constantino Rivera, un pescador de 47 años que recibió la orden de regresar a tierra.
Por su parte, el Sistema Nacional para la Prevención, Mitigación y Atención de Desastres de Nicaragua (SINAPRED) declaró este sábado alerta amarilla en todo el país y activó las unidades de socorro. El Instituto Nicaragüense de Estudios Territoriales (Ineter) informó que la tormenta tropical “se está fortaleciendo rápidamente” y se dirige hacia el Caribe sur del país, donde estima que podría impactar en la zona de Laguna de Perlas, al norte de Bluefields.
Por situación de ‘Julia’, en San Andrés lanzan SOS para que hoteles y ciudadanía acojan perros y otros animales. https://t.co/2j1JGDNlE9 pic.twitter.com/QYDT2OmvKc
— Revista Semana (@RevistaSemana) October 8, 2022
El gobierno recomendó a los pobladores proteger sus casas y estar listos “para evacuar y dirigirse hacia un refugio cuando sea necesario”. La Fuerza Naval del mismo país, suspendió desde el jueves los permisos de zarpe a embarcaciones pesqueras hasta nuevo aviso.
Honduras a salvar vidas
En Honduras, el gobierno anunció el viernes en un comunicado que “por prevención y seguridad de la vida de las personas”, que viven en el valle de Sula, norte, iniciará el sábado “descargas preventivas controladas” de El Cajón, la principal represa hidroeléctrica del país, que tiene una superficie de 94 km2. Prevé que “la tormenta Julia afectará directamente el territorio nacional” en los ríos que alimentan El Cajón. Tras pasar por las turbinas de la hidroeléctrica, las aguas se depositan después en los caudalosos Ulúa y Chamelecón.
SEMANA está en el lugar de la noticia. Este es el registro minuto a minuto de la situación en San Andrés, ante el avance de la tormenta Julia por el Caribe.
— Revista Semana (@RevistaSemana) October 8, 2022
La información: https://t.co/27CiiylzoF pic.twitter.com/ZCCdaIleX1
El desbordamiento del Ulúa y el Chamelecón, a causa de las lluvias que cayeron en los últimos diez días de septiembre, obligaron a evacuar más de 12.000 personas en zonas cercanas a San Pedro Sula, la segunda ciudad y capital industrial del país. Esa es la zona más amenazada por Julia. En Guatemala, el presidente Alejandro Giammatei, anunció en Twitter que ha dado instrucciones para que las instituciones estén listas para atender y apoyar a los guatemaltecos que puedan ser afectados.
En tanto, la estatal Coordinadora para la Reducción de Desastres (Conred), encargada de protección civil de esta nación, declaró este sábado alerta roja institucional en los 22 departamentos del país por el ciclón Julia. Las bandas de nubes de este sistema lluvioso también alcanzarán a Honduras y El Salvador. Los organismos de socorro de estos países están atentos a su desarrollo y preparan condiciones ante eventuales evacuaciones.
En noviembre del 2020, el huracán Iota impactó y causó destrozos en Bilwi, principal municipio del caribe norte del Nicaragua, 14 días después de haber pasado por el mismo lugar el huracán Eta.
