El huracán Milton tocará tierra en Florida, Estados Unidos, este miércoles por la noche, tras volver a elevarse a la máxima categoría, haciendo temer la que el presidente Joe Biden advirtió podría ser “la peor tormenta” que azote el estado “en un siglo”.
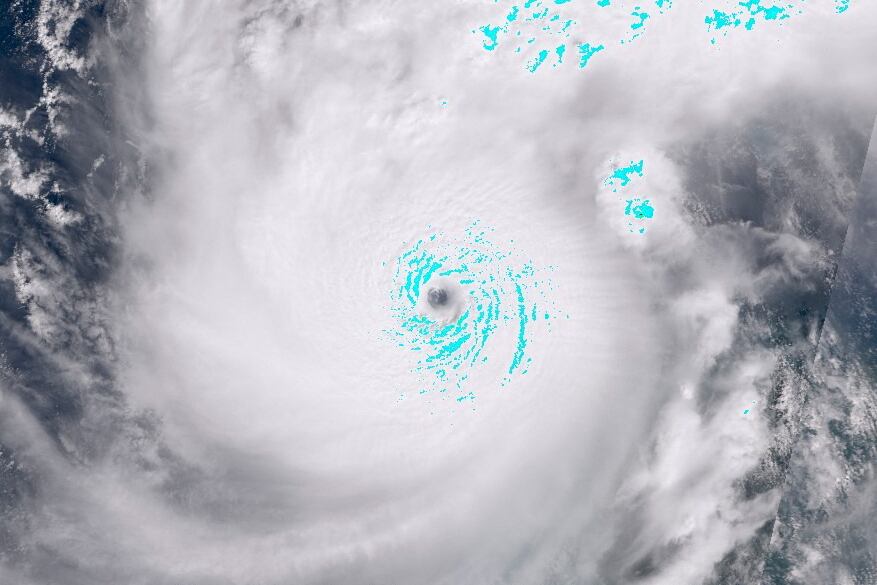
Milton recuperó fuerza el martes y se convirtió en un huracán de categoría 5 con vientos máximos sostenidos de 260 km/h mientras avanza hacia el estado de Florida, según el centro de huracanes de Estados Unidos (NHC).
Hasta que toque tierra el miércoles por la noche “es probable que haya fluctuaciones en la intensidad”, pero se espera “que sea un importante y peligroso huracán cuando llegue”, informó la agencia.
Ya afectada por el destructivo paso de Helene hace diez días, que dejó al menos 235 muertos, “toda la península de Florida está bajo algún tipo de alerta o advertencia”, afirmó el martes el gobernador Ron DeSantis.
En medio de esta situación, el testimonio de una madre estadounidense de seis niños se viralizó en redes sociales. La mujer, que se identifica como @mamamossof6 en TikTok, manifestó que, pese a los llamados de evacuación de las autoridades, se quedará con su familia en casa durante el paso del huracán y dio las razones de su decisión.
En principio, la mujer manifestó que le es imposible evacuar el estado en estos momentos. Según dijo, “en un buen día”, les tomaría 10 horas salir de Florida en automóvil.
“Ha habido horas de mucho tráfico y las gasolineras de todo el estado ya se están quedando sin combustible”, agregó la madre, quien recordó lo que les pasó a varios amigos que intentaron evacuar durante el paso del huracán Ian.
“Muchos de mis amigos se quedaron varados en la carretera porque se quedaron sin gasolina. No había lugares donde quedarse. Esa no es una opción”, sostuvo.
Al ser cuestionada por varios usuarios sobre por qué no se preparó para la situación con mayor antelación, dijo que tienen que prepararse semana a semana para alimentar a sus hijos.
“Literalmente, nos preparamos semana a semana para alimentar a nuestros hijos; no puedes simplemente prepararte para un huracán. Hacemos lo que podemos para prepararnos, asegurándonos de tener gasolina, un generador y cosas para cuando se vaya la luz”, expresó.
La usuaria también afirmó que muchos desconocidos le han ofrecido sus casas para que su familia se quede en ellas. Aunque agradeció los ofrecimientos, aseguró que no quiere que su familia se quede en la casa de un extraño.
La mujer señaló que ella y su familia conocen bien su casa y saben cómo refugiarse en ella. “Como dije, nos vamos a refugiar aquí porque conocemos nuestra casa, conocemos nuestras ventanas a prueba de huracanes y conocemos nuestro vecindario”, dijo.
“Nuestro auto está lleno en caso de que tengamos que subirnos e irnos. Me estoy preparando lo mejor que puedo”, sostuvo.

“La peor tormenta en un siglo”
Biden dijo que Milton podría ser “la peor tormenta en Florida en un siglo” y llamó a los estadounidenses en zonas de riesgo a “evacuar ahora, ahora, ahora”.
“Es una cuestión de vida o muerte”, añadió el mandatario, que suspendió un viaje a Alemania y Angola esta semana debido a la emergencia.

Las aerolíneas habilitaron vuelos adicionales partiendo desde Tampa, Orlando, Fort Myers y Sarasota para aliviar el congestionamiento en las carreteras.
Milton puede ser “la peor” tormenta en azotar el área de Tampa en más de 100 años, según el NHC.
La vicepresidenta y candidata demócrata a la Casa Blanca, Kamala Harris, pidió a los residentes de Florida que “tomen en serio” a las autoridades locales.
*Con información de AFP.
