Un científico británico ha descubierto una nueva especie que pertenece a un grupo de insectos tan raro que su pariente más cercano fue visto por última vez en 1969, según publican en Zootaxa.
El doctor Alvin Helden, de la Universidad Anglia Ruskin (ARU), en Reino Unido, ha encontrado la nueva especie de chicharra, a la que ha llamado Phlogis kibalensis, durante un trabajo de campo con estudiantes en la selva tropical del Parque Nacional de Kibale, en el oeste de Uganda.
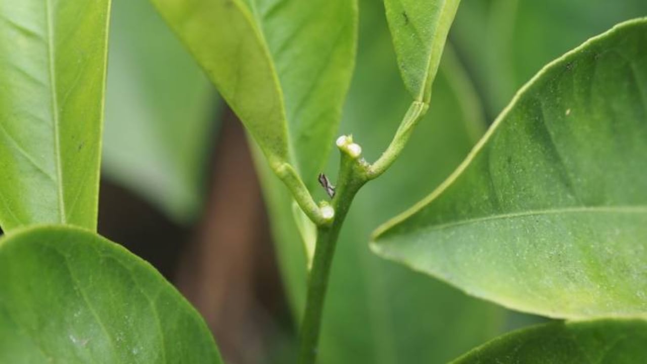
La nueva especie, que tiene un distintivo brillo metálico, un cuerpo con marcas y, al igual que la mayoría de las chicharras, unos órganos reproductores masculinos de forma única, en este caso, parcialmente en forma de hoja, pertenece a un grupo, o género, llamado Phlogis.
Antes de este nuevo descubrimiento, el último avistamiento registrado de una chicharrita de este raro género se produjo en la República Centroafricana en 1969.
British scientist finds new species of rare leafhopper in Ugandahttps://t.co/pXw50NVXoK
— Svein Tveitdal (@tveitdal) January 28, 2022
The last recorded sighting of a leafhopper from the same genus as Phlogis kibalensis was in 1969 pic.twitter.com/nBH66UeaSS
Las chicharras están estrechamente relacionadas con las cigarras, pero son mucho más pequeñas: el macho de la nueva especie Phlogis kibalensis solo mide 6,5 mm. Las chicharras se alimentan principalmente de la savia de las plantas, que succionan directamente del floema, y son presa de invertebrados como arañas, escarabajos y avispas parásitas, así como de aves.
El doctor Helden, miembro del Grupo de Investigación de Ecología Aplicada de la Universidad Anglia Ruskin, explica que “encontrar esta nueva especie es un logro único en la vida, sobre todo porque su pariente más cercano se encontró por última vez en otro país hace más de 50 años. Supe que era algo muy especial en cuanto lo vi”, reconoce.

“Las chicharras de este género, y de la tribu más amplia, tienen un aspecto muy inusual y son raras de encontrar. De hecho, son tan raros que su biología sigue siendo casi completamente desconocida, y no sabemos casi nada sobre Phlogis kibalensis, la nueva especie que encontré, incluyendo de qué plantas se alimenta o su papel en el ecosistema local.”
“Queda mucho por averiguar, no solo sobre esta especie, sino sobre muchas otras, incluidas las numerosas especies que aún esperan ser descubiertas -subraya-. Es increíblemente triste pensar que algunas especies se extinguirán antes de que seamos conscientes de su existencia”.
“Hay algunos lugares maravillosos, como el Parque Nacional de Kibale, en Uganda, donde la vida salvaje sobrevivirá, pero fuera de los parques y reservas nacionales, la cantidad de selva tropical que se ha talado es devastadora. Las especies raras podrían vivir en cualquier lugar, pero la deforestación significa que es inevitable que perdamos especies antes de haberlas descubierto” lamenta Helden.
El Dr. Helden dirige desde 2015 excursiones de estudiantes al Parque Nacional de Kibale, cerca de la frontera de Uganda con la República Democrática del Congo. Como parte del trabajo, ha estado documentando los insectos que se encuentran dentro del parque, y ha producido guías de imágenes de las mariposas de Kibale, los halcones y los escarabajos tortuga.

“He estado fotografiando insectos en el Parque Nacional de Kibale durante muchos años, y ahora hemos empezado a recopilarlos en guías de campo fotográficas, ya que queríamos devolver algo a la gente de Uganda, que ha sido tan hospitalaria con la Universidad Anglia Ruskin durante nuestros viajes de campo”, concluye.
*Con información de Europa Press.
