Investigación
Expediente de una masacre: SEMANA revela lo que habría detrás de 15 homicidios en medio del paro en Cali
SEMANA conoció las evidencias que recaudó la Fiscalía, tras una rigurosa investigación, por los 15 homicidios perpetrados en cuatro días de protestas en los que Cali estuvo secuestrada por la violencia.
Siga las noticias de SEMANA en Google Discover y manténgase informado

A las cuatro de la tarde del 30 de abril de 2021 se escucharon las ráfagas y las detonaciones de fuego frente a un supermercado en el barrio El Diamante, en la ciudad de Cali. Los vecinos corrieron a esconderse. Algunos, los más osados, se quedaron ‘chismoseando’ el origen del estruendo. Segundos después, Einer Alexánder Lasso estaba en el suelo con un disparo de fusil en la cara. El hombre, de 61 años de edad, se convirtió en víctima de la masacre que vivió la capital del Valle del Cauca en cuatro días de violentas protestas. Fue una batalla campal en la que también resultaron varios policías heridos.
Un expediente, con más de 2.000 documentos en poder de SEMANA, detalla días similares a una guerra que cubrieron a Cali durante la pasada jornada de protesta. Las pruebas recaudadas por la Fiscalía explican de qué manera las movilizaciones terminaron en enfrentamientos que dejaron 15 personas asesinadas, incluido un policía, todas con armas de fuego y en confusas circunstancias. Las evidencias empiezan a develar más de una mentira que dijeron en su momento los involucrados.

Lo que pasó en Cali no se vivió en ninguna parte del país. En la lista de asesinados hay estudiantes, vendedores informales, pensionados de la Policía, un grafitero, un ayudante de construcción, un desempleado, un técnico en instalación de gas, tres operarios, un patrullero y un menor de edad. No se sabe quién los mató, pero sí quiénes tendrán que responder, por omisión.
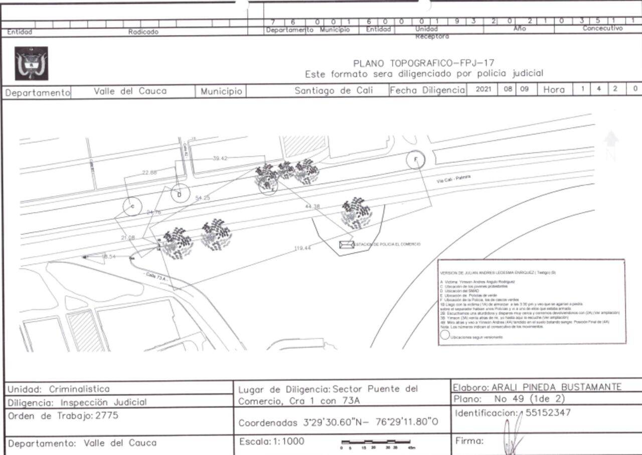
El informe forense
Un revelador documento de la Fiscalía se convierte en la base de la investigación por la masacre en Cali y es, al mismo tiempo, un aterrador registro de los cuatro días de extrema violencia que se tomó la ciudad durante las protestas. El documento, titulado ‘Informe de investigador de campo’, contiene una recopilación de la evidencia en el lugar de los hechos, las entrevistas, los análisis de balística, fotografías y topografía forense.
El informe conocido por SEMANA aborda con minucia los 15 asesinatos en Cali. Las causas de las muertes, el lugar donde ocurrieron, la hora, el día y los resultados de los análisis forenses. También están los testigos, los presuntos responsables y los peritajes destinados a “identificar patrones comunes de modus operandi en cuanto tipos de armas, calibre, distancias de disparo, trayectorias, posición víctima-victimario, modalidades de ataque”.
Todos los muertos son hombres entre los 17 y 60 años de edad, y fueron asesinados en una línea frecuente de tiempo, entre las dos de la tarde y la medianoche; 12 fallecieron tras recibir un disparo fulminante, tres más fueron impactados en dos oportunidades, y los proyectiles corresponden a armas de fuego tipo revólver calibre 38, pistola 9 milímetros y fusil 5,56.

Siete de las 15 víctimas, de acuerdo con el análisis hecho por los expertos de la Fiscalía, fueron impactadas con arma de fuego en la cabeza; el resto en el tronco, las extremidades y otras partes del cuerpo, que “afectaron sistemas vitales como lo son el cardiovascular, nervioso central, y respiratorio”.
El reporte indica que los asesinatos ocurrieron en plena vía pública y a larga distancia, esa fue la conclusión de los peritos, pues advierten que algunas víctimas llegaron sin su ropa a la morgue. Esas prendas, explicaron los expertos, son importantes para determinar el recorrido de los disparos “por lo tanto, no se pudo solicitar el análisis de distancia de disparo en la ropa, los cuales, en casos de que hayan sido a corta distancia, tienden a captar las sustancias químicas”.
La Fiscalía determinó que nueve de las 15 víctimas tenían, además de las heridas de arma de fuego, otras lesiones en “tejidos blandos”, como hematomas, excoriaciones y hasta quemaduras. Sus cuerpos cuentan una suerte de tortura. En otros análisis, los forenses encontraron proyectiles en el cuerpo de 13 víctimas, elementos fundamentales para determinar la vinculación de algunos miembros de la fuerza pública con los asesinatos.
Hablan las balas
El informe de balística que obtuvo SEMANA, y que está en el extenso expediente de la Fiscalía por la masacre de Cali, revela detalles con la promesa de destapar incómodas verdades. Por ejemplo, que el Grupo de Operaciones Especiales de Seguridad de la Policía (Goes), que usa armamento especial y contundente, disparó en medio de las revueltas.
En los documentos hay reportes, oficios, minutas y entrevistas enfocadas en demostrar que los uniformados de apoyo del Goes regresaron a sus unidades de Policía y entregaron completo el armamento y munición, en otras palabras, no dispararon, no hicieron uso de las armas de dotación.
En las declaraciones de los policías, incluso del teniente Néstor Fabio Mancilla, comandante del Goes, ahora llamado a juicio, se detalla que los 42 uniformados con armamento de corto y largo alcance llegaron a las protestas por orden de la central de radio y ante el llamado que hicieron otros policías arrinconados en los CAI. Todos aseguraron que no dispararon, incluso revisaron el armamento y dejaron fotografías como constancia.

Pero el informe de balística forense lo contradice y levantará ampolla. En las 11 páginas hay análisis a cinco proyectiles y cinco vainillas calibre 5,56 encontrados en el lugar de los hechos y el cuerpo de las víctimas. El objetivo del peritaje era comparar los proyectiles con los 42 fusiles que portaban los miembros del Goes y que fueron incautados por la Fiscalía.
Dos de las vainillas encontradas por los investigadores coincidieron con un fusil Tavor 21 que estaba en poder del Goes. El análisis de los peritos confirmó que las vainillas cotejadas fueron percutidas o disparadas por un arma de la Policía, lo que no se explica es por qué en los armerillos de la institución no se reportaron novedades en la entrega de la munición. Mientras los uniformados advierten que no hicieron uso de sus armas, la evidencia indica lo contrario.
Los imputados
Ni siquiera las víctimas de esta masacre niegan que durante las jornadas de protestas hubo una molestia social que explotó en la cara de las autoridades, pero en la cual se mimetizaron criminales entre los manifestantes. A los puntos de concentración llegaron integrantes de la primera línea, estudiantes, trabajadores, grupos criminales del ELN y disidencias de las Farc, pandillas, miembros de la Policía, civiles armados, indígenas y hasta curiosos.
Los únicos formalmente vinculados fueron los miembros de la Policía: el patrullero Wilson Orlando Esparragoza, el teniente Néstor Fabio Mancilla y el coronel Édgar Vega Gómez, en su momento comandante operativo de la Policía Metropolitana de Cali y el oficial de más alto rango vinculado a una investigación por los asesinatos en medio de la protesta. Los tres aparecen en un escrito de acusación que radicó la Fiscalía por los delitos de homicidio agravado y lesiones personales.

La defensa del coronel Vega advirtió que la Fiscalía se equivoca con esta investigación al presentar al oficial como el responsable de los homicidios, pues no existe “una sola prueba” de haber ordenado a sus hombres disparar contra los manifestantes. “Lo ubican como un trofeo para la galería que pide la cabeza de un comandante, cuando en esos días estaban en Cali cuatro generales”.
