En plena época de formaciones ciclónicas, en el océano Pacífico se están presentando un huracán que se prevé tenga impacto en las costas de EE. UU., incluso con consecuencias no tan directas.
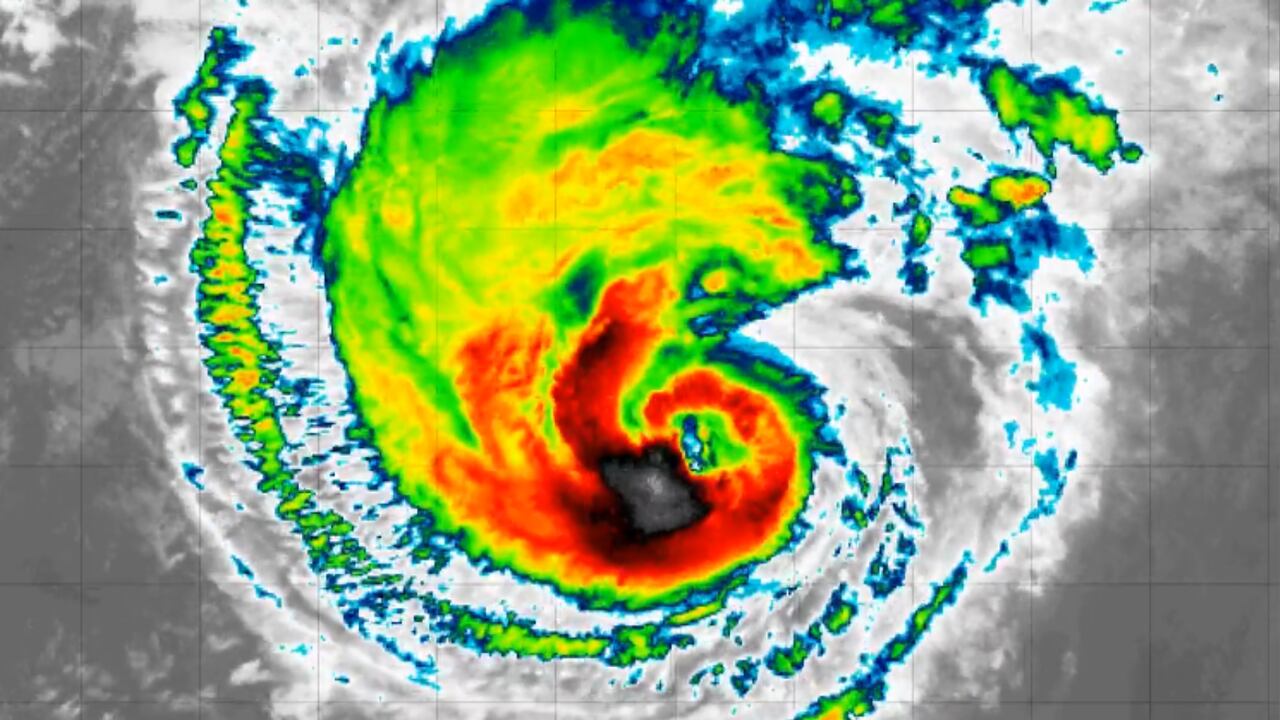
El Centro Nacional de Huracanes (NHC, siglas en inglés) pronostica que Priscilla podría convertirse en categoría 2 y se podría acercar al estado de “huracán mayor” en los próximos días.
Las lluvias de Priscilla afectarán, en principio, la costa suroeste de México el lunes. Su recorrido se encuentra a 394 kilómetros en la zona de Corrientes, ubicada en el país azteca.

“Se espera que este movimiento general, con una curva hacia el noroeste a una velocidad ligeramente mayor, se produzca en los próximos días”, informa el NHC.
Según la trayectoria pronosticada, se espera que el centro del sistema se mueva mar adentro y paralelo a la costa del suroeste de México y Baja California Sur entre principios y mediados de esta semana.
Los vientos máximos sostenidos han aumentado a cerca de 137 km/h, y la agencia indicó que en las zonas costeras de Michoacán y el extremo oeste de Guerrero se esperan de 5 a 10 cm adicionales de lluvia, con totales locales de hasta 15 cm.
El impacto en Estados Unidos
Newsweek reporta que las consecuencias de Priscilla se empezarán a ver en EE. UU. con lluvias persistentes, inundaciones, bajón de temperaturas y oleaje potencialmente peligroso.

“La humedad del huracán Priscilla llegará a Arizona a finales de esta semana, lo que aumentará el riesgo de inundaciones repentinas”, informó el NWS (Servicio Meteorológico Nacional), de Flagstaff, Arizona.
Por su parte, el NWS de Las Vegas, Nevada, sostiene que “las temperaturas aumentarán hasta mediados de semana, con condiciones secas. La humedad del huracán Priscilla se extenderá a la región, lo que aumentará la probabilidad de precipitaciones y traerá temperaturas más frías”.
Se recomienda estar atento a los canales oficiales de las entidades meteorológicas para revisar el avance del huracán.
